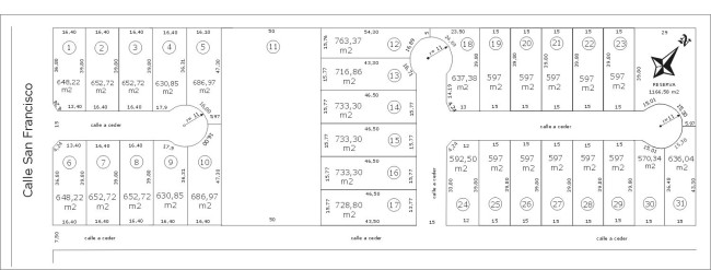
El loteo la lusitana en Loma Verde Escobar constará de 32 lotes de terrenos de 550m2 a 780m2 en zona rural y residencial a pocos metros del asfalto. Se puede apreciar el trazado del terreno y de las calles con un diseño moderno similar a las urbanizaciones privadas. Venta lotes y terrenos en cuotas en zona norte a pocos metros del asfalto.
